Skip to main content
Advertisement
Advertisement

World

Hurricane Melissa becomes Category 4 as Caribbean braces for impact

Airports have been closed and shelters have been activated. 

Hurricane Melissa becomes Category 4 as Caribbean braces for impact

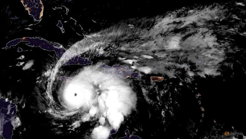
Hurricane Melissa, which has developed into a Category 4 hurricane, moves westward in the Caribbean Sea towards Jamaica in a composite satellite image obtained by Reuters on Oct 26, 2025. (PHOTO: REUTERS/NOAA)

27 Oct 2025 04:06AM (Updated: 27 Oct 2025 03:14PM)

KINGSTON, Jamaica: Hurricane Melissa has developed into a Category 4 hurricane heading towards Jamaica and Cuba and is expected to bring catastrophic floods, landslides and storm surges to the region, the US National Hurricane Center (NHC) said on Sunday (Oct 26).

Melissa has maximum sustained winds of up to 220kmh and is expected to strengthen as it heads towards Jamaica, where it should make landfall Monday night or Tuesday morning. It is likely to hit southeastern Cuba late Tuesday.

In Jamaica, authorities have implored residents to evacuate to nearly 900 shelters around the country, providing assistance to those wanting to leave. On Sunday night, Prime Minister Andrew Holness issued mandatory evacuation orders for Port Royal in Kingston and six other areas.

"Many of these communities will not survive this flooding," Desmond McKenzie, minister of local government, said at a press conference earlier in the day. "Kingston is low, extremely low ... No community in Kingston is immune from flooding."

CNA Games
Show More
Show Less

Both international airports were closed.

Earlier on Sunday, some residents were choosing to stay put, and authorities said some have refused to board evacuation buses.

"We are riding out the storm, we're not going to go anywhere. Just sitting down and watch everything, make sure everything's working good,” said Douglas Butler, a local boat captain in Port Royal. “I just take things easy. As long as I have my food, I can eat. That is the most important thing."

The NHC said Melissa is expected to bring 15 to 30 inches of rain to Jamaica and southern Hispaniola with a local maximum of up to 40 inches. Eastern Cuba is expected to receive 10 to 15 inches, with local amounts of up to 20 inches.

Dana Morris Dixon, Jamaica's information minister, said the Caribbean Disaster Emergency Management Agency is ready to provide assistance, and several international partners have already pledged support.

"We've heard the rainfall numbers. They're numbers we've never heard before," Morris Dixon said.

Source: Reuters/fs/ec
Advertisement

Also worth reading

Advertisement